U gebruikt een verouderde internetbrowser.
We raden u aan om de meest recente internetbrowser te installeren voor de beste weergave van deze website.
Een internetbrowser die up to date is, staat ook garant voor veilig surfen.

Helaas, dit pand is verkocht

9290 Berlare

Omschrijving

!! VERKOCHT !! Deze prachtige nieuwbouw pastorij woning is een unieke kans voor wie op zoek is naar een ruime en comfortabele woning in Uitbergen

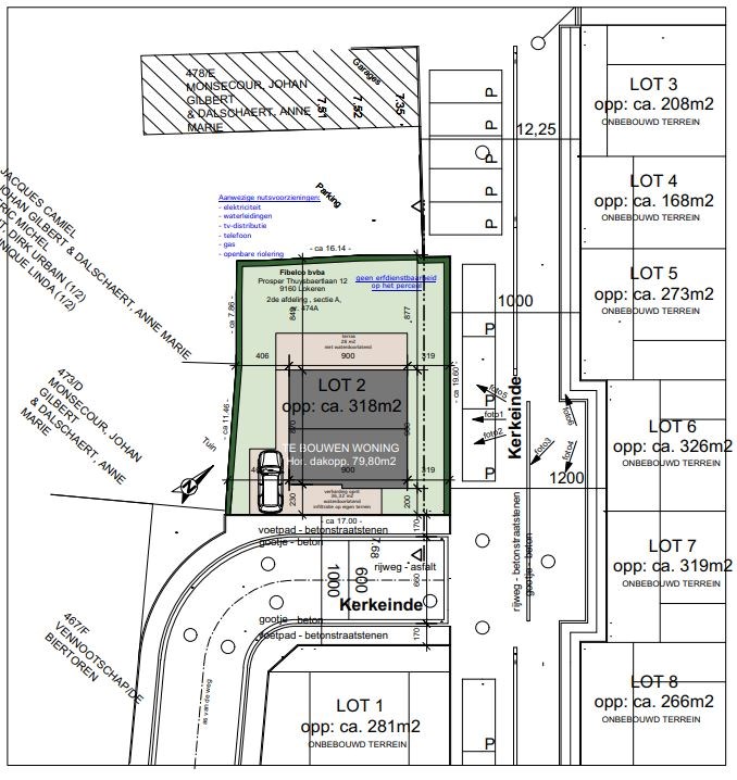
Gelegen aan de Kerkwegel, een doorlopende straat, biedt deze open bebouwing alle moderne gemakken en voldoet het aan de laatste EPB normen.

Bij het betreden van de woning komt men terecht in een ruime inkomhal met een trap en een toilet. Vanuit hier heeft men toegang tot de gezellige woonkamer die naadloos aansluit op een volledig ingerichte keuken. Naast de keuken is er ook een handige garage/berging voorzien.

Op de eerste verdieping bevindt zich een overloop en drie comfortabele slaapkamers. Er is ook een ingerichte badkamer en een apart toilet aanwezig voor optimaal comfort. Boven de eerste verdieping is er nog een zolder die kan dienen als extra opslagruimte.

De woning wordt verwarmd met CV op gas met vloerverwarming, waardoor het heerlijk comfortabel is in huis. Er is tevens een ruime keuze binnen de gestelde budgetten, zodat u de woning naar eigen smaak kan afwerken.

Met een oppervlakte van 318 m² biedt de grond voldoende ruimte voor allerlei activiteiten, zoals een mooie tuin of een gezellig terras. Kortom, deze nieuwbouw pastorij woning is de ideale keuze voor wie op zoek is naar een nieuwe en moderne woning in Uitbergen.


Bel ons

U kan ons telefonisch bereiken via  09 348 37 19

Niet gevonden wat u zocht? Schrijf u dan vrijblijvend in op onze nieuwsbrief en blijf op de hoogte van ons recentste aanbod.
Schrijf u in
Terug naar boven
Sluit menu Woonbureau Lokeren