U gebruikt een verouderde internetbrowser.
We raden u aan om de meest recente internetbrowser te installeren voor de beste weergave van deze website.
Een internetbrowser die up to date is, staat ook garant voor veilig surfen.

Bareelstraat 36, 9250 Waasmunster
Vraagprijs: € 185.000

Omschrijving

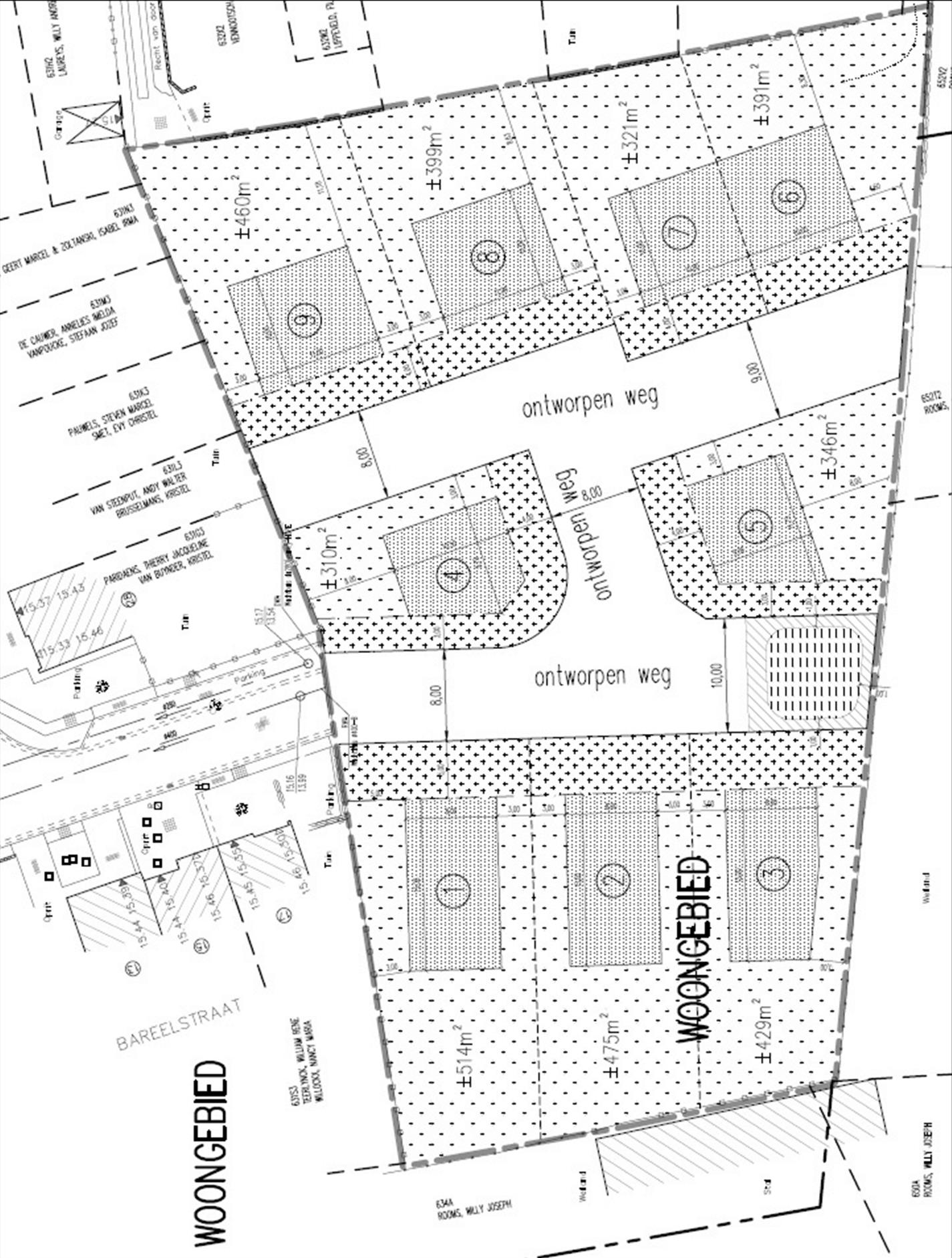
Bouwgrond HOB te koop in Waasmunster - Bareelstraat

In een rustige verkaveling, Bareelstraat te Waasmunster, bieden wij een prachtig perceel bouwgrond aan en dit zonder bouwverplichting. Met een oppervlakte van 321m² biedt deze bouwgrond voldoende ruimte voor het realiseren van uw eigen halfopen bebouwing.

De ligging van deze grond is ideaal voor wie houdt van rust en natuur. Aan de rand van Belsele en Sinaai zijn er tal van mooie wandel- en fietsroutes te ontdekken. Bovendien bevindt het perceel zich vlakbij het station van Belsele en de E17, waardoor u een vlotte verbinding heeft met steden als Antwerpen en Gent. Daarnaast zijn er in de omgeving van deze bouwgrond ook verschillende restaurants en winkels te vinden.

Tevens is er de mogelijkheid tot volledige afwerking van uw woning. Vraag gerust naar onze voorwaarden en ontdek wat er allemaal mogelijk is.

Kortom, deze bouwgrond in Waasmunster biedt u de perfecte combinatie van rust, natuur en bereikbaarheid. Een ideale plek om uw eigen thuis te creëren. Neem snel contact op en laat u informeren over de mogelijkheden.


Kenmerken

Algemeen

Adres:Bareelstraat 36
Waasmunster
Referentie:BAR 36 LOT7
Vraagprijs:€ 185.000
Type:Grond
Beschikbaar vanaf:Onmiddellijk
Perceeloppervlakte:321 m²
Perceelbreedte:13 m
Perceeldiepte:23 m
Type constructie:Traditioneel

Comfort

Treinstation:Ja - op minder dan 500 m
Bushalte:Ja - op minder dan 500 m
Winkel:Ja - op 1000 m tot 1500 m
School:Ja - op 1000 m tot 1500 m
Restaurant:Ja - op 500 m tot 1000 m

Kadastrale gegevens

Kadastrale Nummers:A0632A4P0000
Kadastrale Oppervlakte:321 m²

Informatieplicht

Overstromingsgevoelig:Niet meegedeeld
Overstromingsgebied:Niet meegedeeld
Erfgoed:Niet meegedeeld

Ligging

Streetview

Neem vrijblijvend contact op

Wenst u meer informatie of het pand te bezoeken? Contacteer ons vrijblijvend voor meer informatie. 
Wanneer wij uw aanvraag hebben ontvangen zullen wij verder contact met u opnemen. 


U moet akkoord gaan met het privacybeleid van deze website
* Verplicht in te vullen

Bel ons

U kan ons telefonisch bereiken via  09 348 37 19

Niet gevonden wat u zocht? Schrijf u dan vrijblijvend in op onze nieuwsbrief en blijf op de hoogte van ons recentste aanbod.
Schrijf u in
Terug naar boven
Sluit menu Woonbureau Lokeren